Parcel On Ashburton , Baltimore, MD 21216

$8,000
  • Parcel On Ashburton , Baltimore, MD 21216 Main Photo

5 Total Photos [Click to View All]

New to the Market ACTIVE
LOT SIZE 0.060 acres MLS#MDBA2209678
STATUSACTIVE PROPERTY TYPELand - Lot/Land SCHOOLBALTIMORE CITY PUBLIC SCHOOLS

Property Description

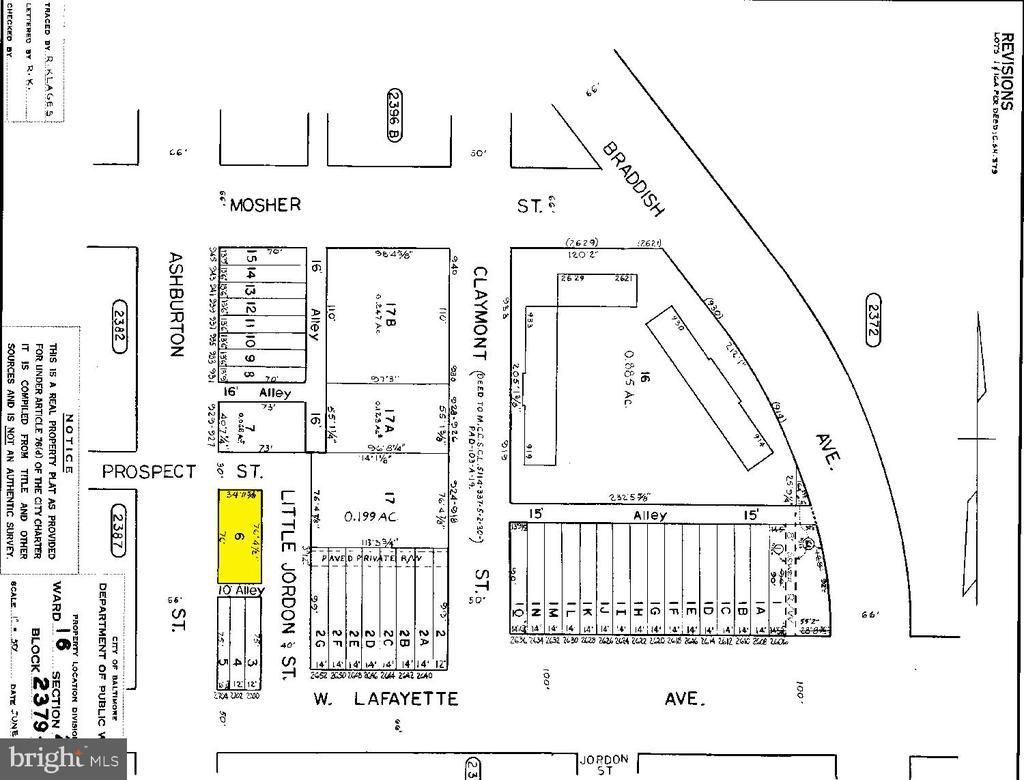
ONLINE AUCTION: This auction takes place on the Ashland Auction Group Website Bidding Platform. Bidding begins 4/21/2026 @ 10:00 AM. Bidding ends 4/23/2026 @ 11:20 AM. List Price is Suggested Opening Bid. Deposit: $5,000. +/ - 2,660 ft² parcel of land located in the Mosher area. JUST MINUTES to Gwynns Falls Park. Easy access to major traffic artery W Franklin St. Parcel is vacant.

Parcel On Ashburton | MLS# MDBA2209678

This land located at Parcel On Ashburton , Baltimore, MD 21216 is currently listed for sale with an asking price of $8,000. The property has approximately 0.06 Acres. Parcel On Ashburton is located within the BALTIMORE CITY PUBLIC SCHOOLS school district. Search Baltimore real estate on www.joinrealtymark.net today.

Property Features

Property Type: Land - Lot/Land
Lot Size: 0.06 Acres
Taxes: $61

Feature Descriptions

Days on Site: 4
Lot Dimensions: 0.06 Acre(S)
Municipality: Baltimore City
Sewer: Public Hook/Up Avail
Water: Public Hook-up Available

Local Schools

School District: BALTIMORE CITY PUBLIC SCHOOLS

Listed By / Shown By

Listed By

Agency Name: Ashland Auction Group LLC
Agency Phone: 4104883124

Shown By

Agency Title: RealtyMark
Agency Phone: 888-240-0600

IDX logo

Estimate Your Payment

Estimated Payment

$ 25.22 per month $17.80 Principal & Interest $5.08 Property Tax $2.33 Homeowner's Insurance

Change Payment Information

%
years/fixed
yearly
yearly (est.)
(Payments are an estimate and may vary by lender)

Login to My Homefinder

Pixel